Ekspertët kanë shpjeguar se cilat shenja zbulojnë depresionin, të cilat mund t’ju ndihmojnë për të gjetur nëse jeni vetëm në...
Lexo më shumëDetailsLiderëve të vendeve të Bashkimit Europian u pëlqen të ruajnë seriozitetin e të projektojnë një imazh të tillë në publik,...
Lexo më shumëDetailsTërmetet që kanë prekur së fundmi vendin tonë pa dyshim që na kanë frikësuar të gjithëve. Në momentet kur toka...
Lexo më shumëDetailsKërkuesit nga Universiteti i Oksfordit analizuan dorëshkrimin e Bakhshalit, teksti matematikan më i vjetër dhe përcaktuan origjinën e simbolit. Zeroja...
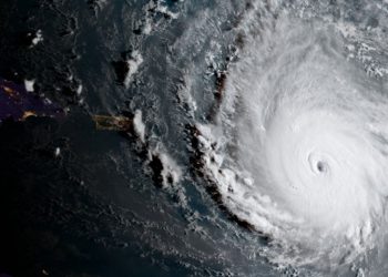
Lexo më shumëDetailsNjihuni me shatatë fakte interesante për krijimin e uraganeve. Uraganet janë stuhi tropikale me shpejtësi të erës mbi 257kmh. Ato...
Lexo më shumëDetailsNathan Wyburn ka shfrytëzuar gjethet e thara të pemëve, që të imitojë në një kopsht të Londrës, kryeveprën e Leonardo...
Lexo më shumëDetailsDisa njerëz në momentet e fundit e humbin ndjenjën e kohës dhe fillojnë të flasin për gjërat nga e kaluara...
Lexo më shumëDetailsNëse nuk e keni provuar vetë ndjesinë e prindërimit, me siguri keni dëgjuar nga të tjerët që të kesh një...
Lexo më shumëDetailsPrej kur është shpikur aeroplani, njerëzit kanë “luftuar” për një ulëse afër dritares në aeroplan. Por kjo s’do të ndodh...
Lexo më shumëDetailsNga mjelës lopësh e ushqyes derrash në autorin e librit më të suksesshëm në historinë amerikane: "Arti për të fituar...
Lexo më shumëDetails
Babai i 19-vjeçares që u gjet e pajetë në Kefaloni të Greqisë, foli sonte për mediat greke dhe tha se...
© 2018 Lajme.al - Të drejtat mbi përmbajtjen mbrohen sipas etikës profesionale dhe ligjeve të Republikës së Shqipërisë.
© 2018 Lajme.al - Të drejtat mbi përmbajtjen mbrohen sipas etikës profesionale dhe ligjeve të Republikës së Shqipërisë.